
Snívate o vlastnom dome, ale bývať v rušnej časti mesta či v lokalite, kde si susedia vidia takpovediac do taniera, nechcete? No hľadáte aj pozemok, ktorý je blízko mesta? Radi by sme Vám predstavili projekt s názvom Slnečné pozemky, v mestskej časti Tomašová, neďaleko hvezdárne. Dostatočne blízko mesta, čo poviete? Zostávate v centre diania– obchody, zdravotnícke zariadenia, škôlky, školy, úrady - to všetko máte na dosah, 3 minúty autom. Nehovoriac o tom, o koľko sa znižujú nie len náklady na dopravu (ktoré napríklad pri dennom dochádzaní autom do vzdialenosti 10 km môžu dosiahnuť 1000 eur ročne), ale šetrí sa i ČAS potrebný na cestovanie, či už do práce, na krúžky s deťmi alebo za kultúrou.
Poďme si teda Slnečné pozemky opísať bližšie, pretože vyššie spomenuté výhody sú iba zlomok toho, čo Vám daná lokalita môže ponúknuť.
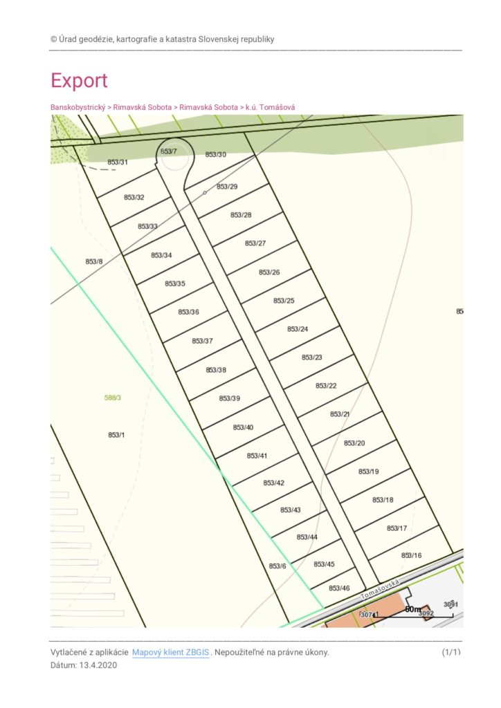
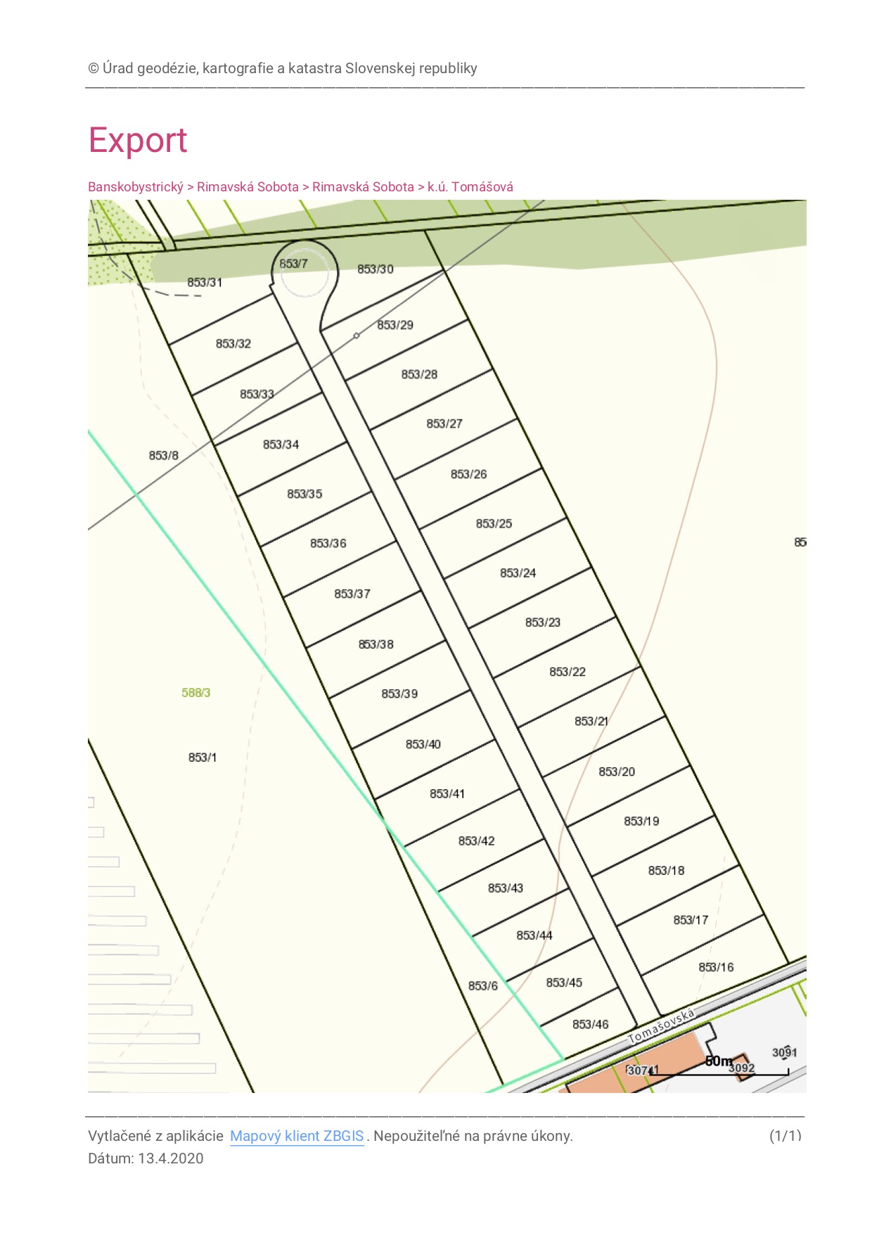
Ide o novú štvrť pre rodinné domy, ktorá pozostáva z 31 stavebných pozemkov. V prvej etape sa predáva 10 parciel o výmerách od 772 m2 až po 1300 m2. Na pozemky je mestom Rimavská Sobota schválený územný plán na bytovú výstavbu, takisto je vydané stavebné povolenie na prístupovú komunikáciu a inžinierske siete.
Medzi najdôležitejšie atribúty našich pozemkov považujeme:
Cena pozemku okrem uvedených predností zahrňuje všetky inžinierske siete: elektrina, vrátane pouličného osvetlenia, voda dažďová, splašková, príjazdová komunikácia a internet.
Kúpa stavebného pozemku môže byť nie len dobrou investíciou do budúcna, ale najmä investíciou do budúcnosti Vás a Vašej rodiny. Projekt Slnečné pozemky je správnou kombináciou, ktorá v sebe spája výhody bývania v meste a na vidieku.
Objavte nové možnosti pre splnenie Vašich snov.
Pre viac informácií navštívte www.slnecne –pozemky.sk
Email: [email protected]
FB: Slnečné pozemky RS/Tomašová
Zdroj: PR článok
Pri sponzorovaných a reklamných článkoch Rimava.sk štandardne uzatvára komentáre.